VETERINÁRNÍ
PORADNA

ZAJÍMAVÉ
ČLÁNKY

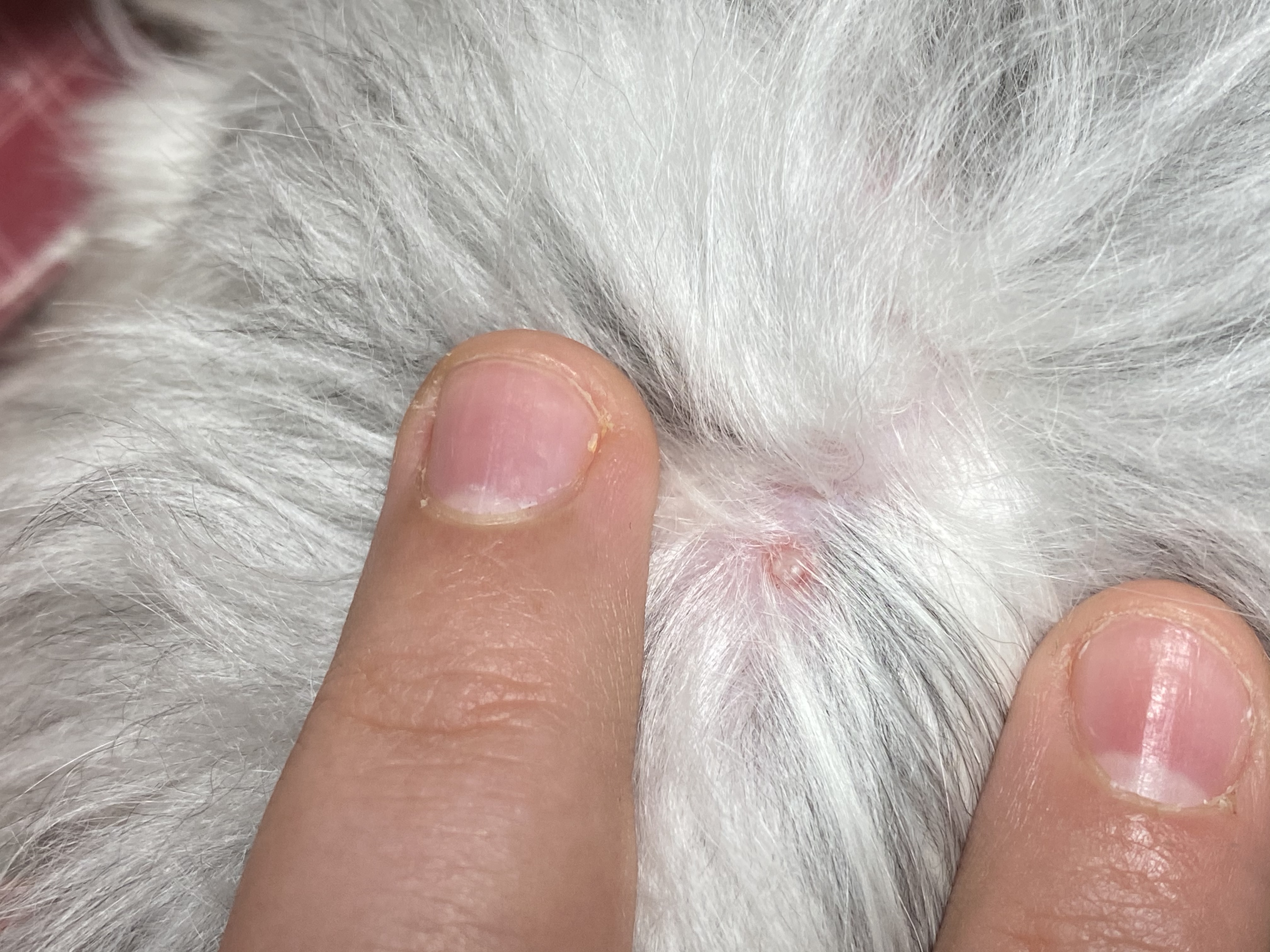
Pupínek výrustek u psa (jorkhsir biewer)

Otázka 23.2.2021     Pes

Dobrý den chci se zeptat pejskovy se udělal nějaký pupínek netuším co to je napište mi prosim váš nazor dekuji Mezihoráková

Veterinář odpovídá MVDr. Kateřina Veselá PROFIL VETERINÁŘE

Dobrý den, vypadá to jako "malý absces", zkuste to vymáčknout a poté vydezinfikovat. Mělo by to být v pořádku. Přeji hezký zbytek dne. S pozdravem, MVDr. Kateřina Veselá

Reakce od tazatele

Děkuji

Další zajímavý obsah

Hobby

Vyčmuchej si velikonoční koledu! Zábava nejen pro pejska

Přestože jsou letos Velikonoce poznamenané celospolečenskou situací COVID-19, vzdát se chutného hodování a času stráveném s vašim pejskem rozhodně nemusíte. Právě naopak. Ti z vás, kdo máte zahradu, jste ve výhodě, ale ani vy, páníčkové z bytu, nezůstanete zkrátka. Venku je krásně i s rouškou, a proto s pejskem vyzkoušejte nose work neboli zábavné hledání vajíček a laskomin. A za odměnu si všichni společně dejte výtečný masový nákyp!

PŘEČÍST CELÝ ČLÁNEK

Podzimní plískanice se mohou podepsat na zdraví vašeho psa. Poradíme vám, jak ho ochránit.

Dny se pomalu krátí, pryč jsou teplé dlouhé letní večery. Ve vlhku a při nižších teplotách se velmi dobře daří virům a virózám. Na podzim také opadávají plody ze stromů, a to může skýtat nebezpečí pro psy. Ať už chodíte do polí a luk, nebo jen do nejbližšího parku, nezapomeňte, že i váš pes potřebuje v tomto období zvýšenou péči.

PŘEČÍST CELÝ ČLÁNEK
  Položit dotaz do poradny

REGISTRACE

Můžete se zaregistrovat přes Facebook

BĚŽNÁ REGISTRACE

Vložte platný email.

Heslo musí mít minimálně 6 znaků.

Zadaná hesla se neshodují.

Tento email je již zaregistrován.
Zvažte využití funkce zapomenuté heslo.

Nastala neznámá chyba.
Kontaktujte nás prosíme na info@radaveterinare.cz. Děkujeme.

Děkujeme za registraci!
Pokyny k aktivaci účtu najdete v emailu. Bez aktivace se nelze přihlásit!

REGISTROVAT SE

Registrací souhlasíte se zpracováním osobních údajů a přihlášením k našemu skvělému newsletteru.
Děkujeme!

PŘIHLÁŠENÍ

Můžete se přihlásit přes Facebook

BĚŽNÉ PŘIHLÁŠENÍ

Vložte platný email.

Přihlášení bylo neúspěšné.

Nastala neznámá chyba.
Kontaktujte nás prosíme na info@radaveterinare.cz. Děkujeme.

Přihlášení bylo úspěšné!

PŘIHLÁSIT SE

Ještě u nás nemáte účet?