VETERINÁRNÍ
PORADNA

ZAJÍMAVÉ
ČLÁNKY

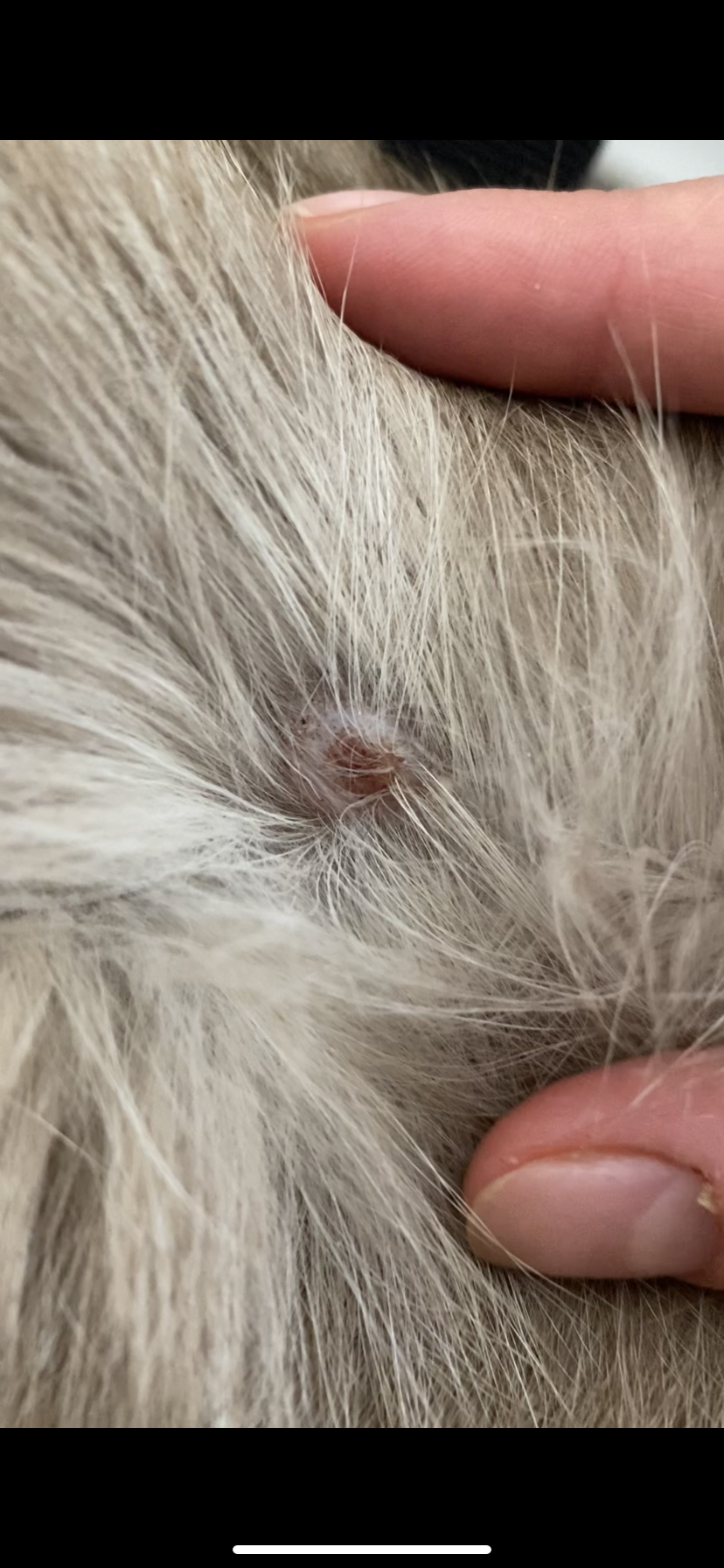
Boulička na kůži

Otázka 16.10.2023     Kočka

Dobrý den, našemu seniornímu kocourkovi (19 let) se udělala vystouplá boulička na zádech. Chtěla bych poprosit o radu, co by to mohlo být. Předem moc děkuji!

Veterinář odpovídá MVDr. Jaroslav Jančík: Veterinární ošetřovna Praha 9 PROFIL VETERINÁŘE

Dobrý den. V jeho věku to může být nádorek. Doporučuji navštívit veterináře,který by tenkojehelnou aspirační metodou bez uspání mohl zjistiti přesně o co se jedná. S pozdravem MVDr Jančík.

Další zajímavý obsah

Bezpečné prázdniny: jak v pohodě cestovat se psem či kočkou

Pokud máte domácí mazlíčky, pak víte, že ať už se vydáváte na cestu za prací nebo odpočinkem, čelíte rozhodnutí, jestli ho vezmete s sebou, nebo ho svěříte do péče rodině, přátelům či zvířecímu hotelu. U většiny majitelů vyhrává možnost mít ho u sebe, a tak jsme pro vás připravili následující tipy, které vám pomohou se na cestu s vaším zvířecím miláčkem připravit.

PŘEČÍST CELÝ ČLÁNEK

Odborník

Akutní ledvinné selhání u psů a koček: pozor, můžete si ho splést se zažívacími potížemi

Onemocnění ledvin jsou většinou závažná. Ledviny hrají nezastupitelnou roli v životě každému savce – psy, kočky a lidi nevyjímaje. Ledviny vylučují z těla metabolické zplodiny, udržují elektrolytovou a acidobazickou rovnováhu a podílí se na řízení objemu krve a krevního tlaku. Pokud selhávají, začne selhávat celý organismus.

PŘEČÍST CELÝ ČLÁNEK

Hobby

10 znamení, že má váš pes či kočka možná rakovinu

Mnoho lidí se neuvědomuje, že rakovina se týká nejen člověka, ale také našich domácích mazlíčků. Rakovina patří mezi nejčastější zabijáky psů i koček. Zde je několik příznaků, které vám napoví, že s vaším mazlíkem není něco v pořádku. Nutně to nemusí znamenat to nejhorší, je ale potřeba co nejrychleji vyhledat veterináře. Stejně jako u lidí platí – čím dříve se na nemoc přijde, tím lépe.

PŘEČÍST CELÝ ČLÁNEK

Odborník

Kočičí astma má podobné příznaky jako u člověka. Jak můžete kočce pomoci?

Kočičí astma neboli felinní alergická bronchitida je chronické zánětlivé onemocnění dolních cest dýchacích. Z důvodu odlišné anatomické struktury průdušek se onemocnění vyskytuje pouze u koček, nikoliv u psů. Nejčastěji postihuje jedince ve věku okolo 5–6 let, ale objevit se může v jakémkoliv věku. Mezi nejčastější plemena trpící astmatem patří domácí krátkosrstá kočka a siamská kočka.

PŘEČÍST CELÝ ČLÁNEK
  Položit dotaz do poradny

REGISTRACE

Můžete se zaregistrovat přes Facebook

BĚŽNÁ REGISTRACE

Vložte platný email.

Heslo musí mít minimálně 6 znaků.

Zadaná hesla se neshodují.

Tento email je již zaregistrován.
Zvažte využití funkce zapomenuté heslo.

Nastala neznámá chyba.
Kontaktujte nás prosíme na info@radaveterinare.cz. Děkujeme.

Děkujeme za registraci!
Pokyny k aktivaci účtu najdete v emailu. Bez aktivace se nelze přihlásit!

REGISTROVAT SE

Registrací souhlasíte se zpracováním osobních údajů a přihlášením k našemu skvělému newsletteru.
Děkujeme!

PŘIHLÁŠENÍ

Můžete se přihlásit přes Facebook

BĚŽNÉ PŘIHLÁŠENÍ

Vložte platný email.

Přihlášení bylo neúspěšné.

Nastala neznámá chyba.
Kontaktujte nás prosíme na info@radaveterinare.cz. Děkujeme.

Přihlášení bylo úspěšné!

PŘIHLÁSIT SE

Ještě u nás nemáte účet?